Centro de Ciências Agrárias realiza pesquisa para cultivo de carapeba em cativeiro

Estudo transcorre no Laboratório de Aquicultura e pretende confeccionar o primeiro pacote de cultivo de uma espécie de peixe marinho brasileira


- Atualizado em
O grupo de pesquisa
O grupo de pesquisa

Diana Monteiro – jornalista 

A carapeba Eugerres brasilianus é um peixe bem apreciado no mercado brasileiro e principalmente em Alagoas, onde tem notória importância nas capturas pela atividade de pesca. Não é cultivada, pois não se tem ainda um pacote tecnológico para esta espécie. É um peixe marinho de grande potencial para o cultivo no Estado de Alagoas e em alguns locais encontra-se ameaçada, devido às capturas cada vez incidindo sobre exemplares de pequeno porte que não atingiram a etapa natural de reprodução. 

Para dinamizar as ações do Projeto que trata sobre o potencial da carapeba para o cultivo intensivo, o Laboratório de Aquicultura do Centro de Ciências Agrárias (Ceca) da Universidade Federal de Alagoas (Ufal) recebe de 27 a 30 de maio, o renomado professor Carlos Azevedo da Universidade do Porto (Portugal), referência em pesquisas sobre Microparasitas de espécies de peixes tropicais brasileiros. 

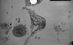
O pesquisador Emerson Soares, um dos coordenadores do Laboratório de Aquicultura informa que nos estudos locais já foi constatada uma espécie nova de microparasita na espécie alvo da pesquisa. Os parasitas e microparasitas podem ser patogênicos e causar enfermidade em peixes principalmente pelo cultivo intensivo. Segundo ele, há ainda um desconhecimento desses indivíduos para muitas espécies brasileiras e a finalidade é descobrir principais parasitas e microparasitas causadores de enfermidades para que o projeto atinja o esperado. 

A expectativa por parte dos pesquisadores é de que com o desenvolvimento de um pacote tecnológico com o cultivo da carapeba, haja a possibilidade de se trabalhar todas as vertentes como: comportamento, aclimatação em cativeiro, genética, adaptação a ração, reprodução em cativeiro e patologias. No laboratório da Ufal será feita a manutenção de estoque de carapebas em tanques de recirculação de água, a reprodução das carapebas e elaboração de dieta e alimentação em cativeiro, além de análises dos órgãos para identificação de parasitas. 

A pesquisa pretende atingir todas as metas da aquicultura moderna baseadas na sustentabilidade ambiental, econômica e social para confeccionar o primeiro pacote de cultivo de uma espécie de peixe marinho brasileira”, frisou.  

Parceria científica 

Pela segunda vez, o professor Carlos Azevedo virá à instituição alagoana por conta da pesquisa em andamento, e além de participar de coletas de material biológico da espécie, das análises de microscopia eletrônica, treinará a equipe de pesquisadores do laboratório, ações que fortalecem não só os avanços científicos, mas a parceria entre a Ufal e a Universidade do Porto. 

No Brasil, além da Ufal, Carlos Azevedo desenvolve estudos em parceria com a Universidade Federal Rural da Amazônia (UFRA); Universidade Federal Rural de Pernambuco (UFRPE); e Universidade Federal de Pernambuco (UFPE). É parceiro também em pesquisas na área em Angola e na Arábia Saudita. 

No Centro de Ciências Agrárias quatro monografias já foram defendidas em 2013 com foco em estudos sobre carapeba, e um artigo encontra-se em avaliação em revista científica sobre o potencial do cultivo da espécie, que tem como autores o professor Carlos Azevedo, Emerson Soares, Sónia Rocha, Themis de Jesus da Silva, Elsa Oliveira, Elton Lima dos Santos e Graça Casal. 

Pioneirismo 

Inaugurado em 2013, o Laboratório de Aquicultura da Ufal é o primeiro do Estado e um dos poucos da Região Nordeste para a produção também de peixes marinhos. Consiste em mais um espaço de aprendizado conectado com as ações de ensino, pesquisa e extensão, visando à formação profissional qualificada dos alunos e pesquisadores da área de ciências agrárias. 

A área de aquicultura marinha é pouco explorada, está em expansão e requer mão de obra qualificada. Vários cursos como Zootecnia, Agronomia, Medicina Veterinária e Engenharia de Pesca têm na grade curricular as disciplinas piscicultura, aquicultura e nutrição. 

As atividades no laboratório envolvem desde a reprodução das espécies à nutrição animal, incluindo a produção de ração, com a parceria do Laboratório de Nutrição Animal, do Ceca. Além de Emerson Soares coordenam as ações de aquicultura os professores Elton Santos e Kedes Pereira.